05 de Febrero de 2026
 
05 de Febrero de 2026
 
Nacional
Nacional | 2025-03-03
De los trabajos afiliados al IMSS 19 millones 461 mil empleos son permanentes, lo que representa el 86.8 por ciento Las mujeres ocupan 9 millones 37 mil 569 de los puestos de trabajo, lo que representa el 40 por ciento. En febrero 2025 se crearon 119 mil 385 nuevos puestos, mientras que en lo que va del año se han creado 192 mil 552 nuevos empleos. El salario base de cotización de las y los trabajadores es 619.6 pesos diarios, el salario base más alto del que se tenga registro. Al 28 de febrero 303 mil 371 trabajadores independientes se afiliaron de manera voluntaria al IMSS.
Nacional | 2024-12-06
La Fiscalía General de Justicia de Tamaulipas informó sobre la detención del joven en Nuevo León.
Nacional | 2024-11-08
Las víctimas fueron encontradas en un punto conocido como Parador del Marquéz, a tan solo unos metros de la Fiscalía
Nacional | 2024-11-06
En el gobierno de Cuitláhuac García también se incrementaron los robos a casa habitación y de vehículos, mientras que en el sur de la entidad se reportaron más de 2 mil extorsiones a comerciantes en 2023
Nacional | 2024-10-22
Autoridades refuerzan operativos para localizar a responsables
Nacional | 2024-10-18
El conductor se despidió anoche de su noticiero televisivo, aunque seguirá formando parte de Grupo Imagen Multimedia
Nacional | 2024-10-18
El Meteorológico Nacional alertó que para el sábado 19 de octubre un sistema de baja presión podría intensificarse a depresión tropical antes de ingresar a Quintana Roo
Nacional | 2024-10-14
El frente frío número 6, junto con una masa de aire frío y el evento de ‘Norte’, traerá bajas temperaturas y lluvias puntuales en algunos estados
Nacional | 2024-10-09
"Hemos dado parte a las autoridades", informa consejero
Nacional | 2024-10-08
Conagua descartó un impacto del centro del huracán en la costa de Yucatán
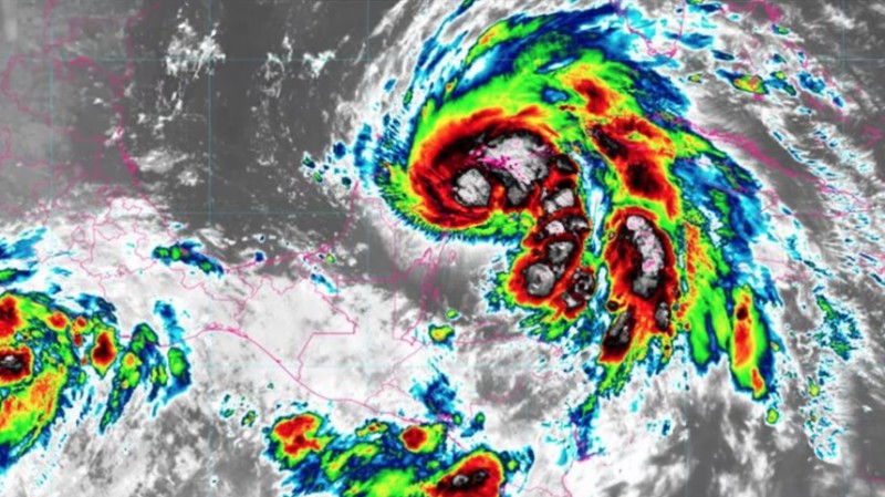
Nacional | 2024-10-07
Secuestran a veracruzano 10 meses en el Mar Rojo
Nacional | 2024-10-07
Se espera que en las próximas continúe con la misma fuerza cerca de las costas de Yucatán
Nacional | 2024-10-05
‘Hasta siempre, querida maestra’, dice Sheinbaum
Nacional | 2024-10-05
El general Ricardo Trevilla Trejo, titular de la Sedena nombró al general de Brigada Hernán Cortés Hernández como nuevo comandante de la Guardia Nacional.
Página 14 de 45
-
ir a página << 12 13 14 15 16 >>